7006-28C-1 E12灯头量规是广东安规根据标准IEC60061-3,GB/T1483.1的要求设计制作而成。
产品设计:广东安规检测有限公司
设计标准:7006-28C-1 E12灯头量规是广东安规根据标准IEC60061-3,GB/T1483.1的要求设计制作而成。
产品用途:
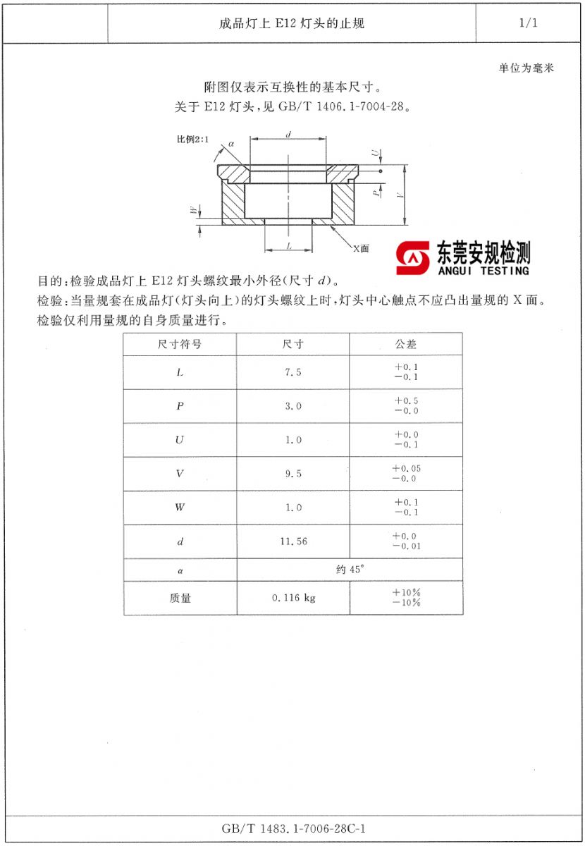
检验成品灯上E12灯头螺纹最小外径(尺寸d)。
To check the minimum outside (major) diameter of the screw thread, dimensiion d, of E12 caps on finished lamps.
使用方法:
当量规套在成品灯(灯头朝上)的灯头螺纹上时,灯头中心触点不应凸出量规的X面。
When the gauge is placed over the thread of the cap on a finished lamp, held cap uppermost, the centre contact shall not project beyond surface X. 检验仅利用量规自身重量进行。
Only the mass of the gauge itself shall be used in the test.
